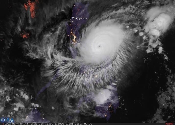
Nock-Ten aux Philippines - Pire cyclone de Noël de l'histoire
Un typhon baptisé "Nock-Ten" a impacté les Philippines en catégorie 4 / 5 ce 25 décembre. Jamais un typhon aussi fort n'avait atterri sur l'archipel si tard dans l'année (depuis au moins la seconde guerre mondiale). De manière plus générale, jamais un cyclone aussi fort n'avait été observé le jour de Noël dans le Monde (depuis le début des observations internationales fiables en 1960), le précédent cas remontant au 25 décembre 1974 où le cyclone Tracy impactait la ville de Darwin (Australie) en catégorie 3 / 5, détruisant au passage 80% des habitations et causant la mort de 71 personnes.



Wunderground - TSR - RAMMB
Le pic d'intensité de "Nock-Ten" a été observé sur l'océan le 24 décembre avec des vents moyens estimés à près de 250 km/h sur une minute et une pression atmosphérique estimée à 915 hPa. Il est tombé 176 mm le jour de Noël et 203 mm sur l'épisode près de Legazpi. Les célébrations de Noël ont été grandement perturbées (80% de la population est catholique). Un bilan provisoire fait état de 3 morts (>>).


